
好消息 盟配资
9月30日上午10点
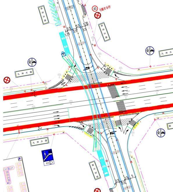
九洲大道交白石路跨线桥
正式通车!
为了提高通行效率,
逐步实施九洲快速化的交通组织,
从9月28日起,
交警已先行对桂花节点交通组织
进行优化,
具体调整如下:
1、桂花路由北往南方向,取消左转车道,需左转的车辆可右转进入九洲大道,在九洲大道跨白石路桥桥下调头前往;
2、取消桂花路交九洲大道西侧的斑马线盟配资,需要跨越九洲大道的行人和非机动车辆可走东侧的斑马线或经人行天桥前往。
通车后桥上交通组织
1、限高4.5米、限载55吨及轴重14吨;
2、禁止危险品运输车辆、大型客车、大型货车通行;
3、桥上暂时实行双向四车道通车。
通车后桥下交通组织
1、由东往西方向,在桥下设置调头车道;由桂花北路前往吉大方向的车辆,可右转进入九洲大道,在桥下调头前往。
2、由东往西方向将封闭北侧一车道,进行非机动车道和人行道的恢复施工。
交警提醒:
由于桥下暂时未开放人行过街,
为了保证通行安全,
严禁行人和非机动车辆
横穿九洲大道。
转发分享这个消息!
编辑:何倩仪
初审:葛华斐、任姝芳
复审:蔡振丰
来源:珠海交警

网上在线炒股配资提示:文章来自网络,不代表本站观点。